慶良間「フルコース」。海に、クジラに、イルカ!
ハイタイ、山崎です。
今日は、2月にしては珍しく、ゆるい東風に晴天ピッカピカ。
久しぶりのダイビングのお父さんとお嬢さん、それに、初めての体験ダイビングに挑戦するお母様の三人と、ブルーフィールドの新艇カタマラン船のビーフラップでのんびり遊んできましたよ。
今日の一日は、まさに「フルコース」。デザートつきのフルコースでした。
天気がよかったので、水中もとっても綺麗。
今日のダイビングポイント:
①トウマ西 (座間味島)
②ドラゴンレディ (座間味島)
③タマナーファーム (儀志布島)
お久しぶりのお二人は、マスククリアやレギュレータークリアなどの基礎スキルはもちろん、BCDの使い方をしっかりイメージトレーニングをしてから潜ります。
お父さんは、海洋博が行われた70年代の沖縄でも潜ったことがあるそう。BCDを使わないダイビングをしていた時代の方なので、BCDの操作と浮力のとり方が難しそう。2ダイブ目ぐらいにはだいぶ慣れましたね。
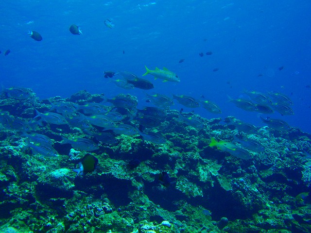
トウマ西では、デバスズメダイにクロオビアトヒキテンジクダイ、アマミスズメダイが乱舞する根を見ていたら、なんと移動中のニセゴイシウツボに遭遇。
とっても太い体をなびかせて泳いでいるのは、なかなか見ない珍しい姿。ラッキーでした♪
2本目のドラゴンレディーでは、お父さん・お嬢さんチームは山崎ガイドで砂地をまったり。お掃除屋さんのエビを見たり、ライセンス取り立てのお嬢さんは、カクレクマノミをしっかり確認。
お母さんは、大谷に手を引かれ、初めてのダイビング。水中で家族3人で合流することもできましたね。
初めて見る水中世界やサンゴはいかがしたか?
お父さんの「昔の沖縄の海」の話から発展して、いろんなサンゴのお話しをしていた今日。
午後のタマナーファームでは、いろんな種類のサンゴを観察しましたよ。
枝状のサンゴ、葉状のリュウキュウキッカサンゴ、塊状の巨大なハマサンゴ。パラウハマサンゴはまるでキャンドルみたい。
そこに群がるスズメダイたちや、ハナゴイ、ノコギリダイの群れがとっても綺麗でしたね。
そして、ダイビング後。
一体今日の沖縄の海は、どうしたのか、サービス満点。
帰り道、沖合に出てすぐに、ザトウクジラが!どうやら、大人2匹と、ぎこちない動きをしているのは子供でしょうか?船をこわがらず、お腹を見せたり、横にヒレを振ったり、尾びれを出してくれたり、頻繁に潮も吹いてくれたり、ずいぶん長いこと楽しませてくれました。
さあ、気を取り直して、沖縄本島に帰らなきゃーと舵をぐるーっと回して一路東へ。
すると、しばらくしたらまた船がスローダウンします。「またクジラかな?」と思ったら、なんと、この時期には珍しく、イルカがたくさん船の目の前をジャンプ!100匹はくだらない、数百匹ものイルカが船の前をピョンピョン飛び跳ねます。そうーっと船を近づけると、もう船を遊ぶかのよう。右に左に前に後ろに、イルカだらけ。
しかも、ここでカタマラン船であるビーフラップの構造が生きてくるんですよね。
下の写真、見てください。分かりにくいのですが、カタマラン(双胴)の間に数十匹のイルカが泳いでいます。船と速度を合わせて、いや、まるでレースをするかのように一生懸命泳ぐのがすぐ近くに見られて、イルカの鳴き声や、息継ぎの息まではっきり聞こえます。全身すべて、体の模様までくっきり見えます。イルカが泳ぐとき、まっすぐだけじゃなくて、まるで遊んでいるように体をひねり、クルクル回るんですね。もう感動です!
なんて盛りだくさんの一日だったことでしょう。
また、ラッキーな運をつれて、ビーフラップやスウィフト号で遊びに行きましょうね。









